Description
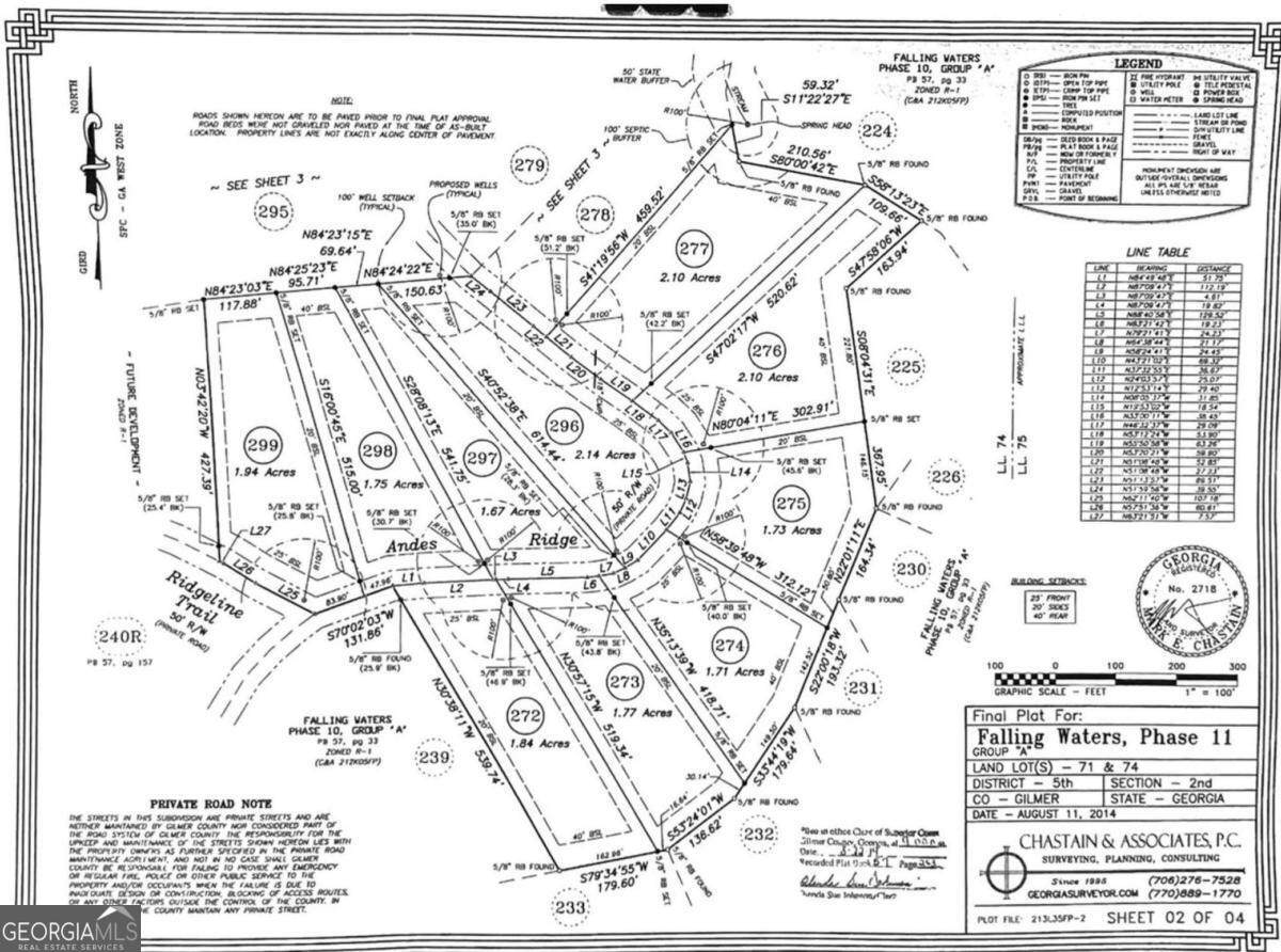
Lots of Flat to Gentle Land with Exceptional Unobstructed and Seasonal Mountain Views once home site is cleared. This 1.73-acre lot offers a large flat to gentle area perfect for your home while allowing for a gentle driveway. The rear and side of the property transition to a natural downslope creating those amazing views while creating natural privacy. The view-width potential up to 180-degrees of seasonal and unobstructed. Long-range seasonal mountain view potential is also present on the left of the lot and across the road for bonus views. Additional acreage available. Adjacent Lot 274 is listed separately and offers 1.71 acres which could possibly give you a combined acreage totaling up to 3.44 acres. HOA allows combining of lots. Drone photos were taken just above treetops to illustrate view potential. Look through the trees on photos for proof of views! Electric phone and fiber internet are available at the road. Soil test on file in Gilmer County. The property is located in a peaceful private and serene North Georgia mountain setting within the gated Falling Waters community. Amenities include a fishing lake screened pavilion fire pit and hiking trail. HOA community. No rentals on this lot. Buyers must be accompanied by an agent. Photos do not capture how beautiful this is. Schedule a showing to walk the build site and experience the scale of the views and quiet setting.
-
0BEDS
-
1.73ACRES
-
0BATHS
-
01/2 BATHS
School Information
Description
Lots of Flat to Gentle Land with Exceptional Unobstructed and Seasonal Mountain Views once home site is cleared. This 1.73-acre lot offers a large flat to gentle area perfect for your home while allowing for a gentle driveway. The rear and side of the property transition to a natural downslope creating those amazing views while creating natural privacy. The view-width potential up to 180-degrees of seasonal and unobstructed. Long-range seasonal mountain view potential is also present on the left of the lot and across the road for bonus views. Additional acreage available. Adjacent Lot 274 is listed separately and offers 1.71 acres which could possibly give you a combined acreage totaling up to 3.44 acres. HOA allows combining of lots. Drone photos were taken just above treetops to illustrate view potential. Look through the trees on photos for proof of views! Electric phone and fiber internet are available at the road. Soil test on file in Gilmer County. The property is located in a peaceful private and serene North Georgia mountain setting within the gated Falling Waters community. Amenities include a fishing lake screened pavilion fire pit and hiking trail. HOA community. No rentals on this lot. Buyers must be accompanied by an agent. Photos do not capture how beautiful this is. Schedule a showing to walk the build site and experience the scale of the views and quiet setting.
© 2026 Georgia Multiple Listing Service, Inc. All rights reserved. The data relating to real estate for sale or lease on this web site comes in part from GAMLS. Real estate listings held by brokerage firms other than The Bradley Sikes Group | Meybohm Real Estate are marked with the GAMLS logo or an abbreviated logo and detailed information about them includes the name of the listing broker. IDX information is provided exclusively for consumers' personal, non-commercial use and may not be used for any purpose other than to identify prospective properties consumers may be interested in purchasing. Information is deemed reliable but is not guaranteed accurate by GAMLS or The Bradley Sikes Group | Meybohm Real Estate. Data last updated: 2026-03-13T00:10:14.033.