Description
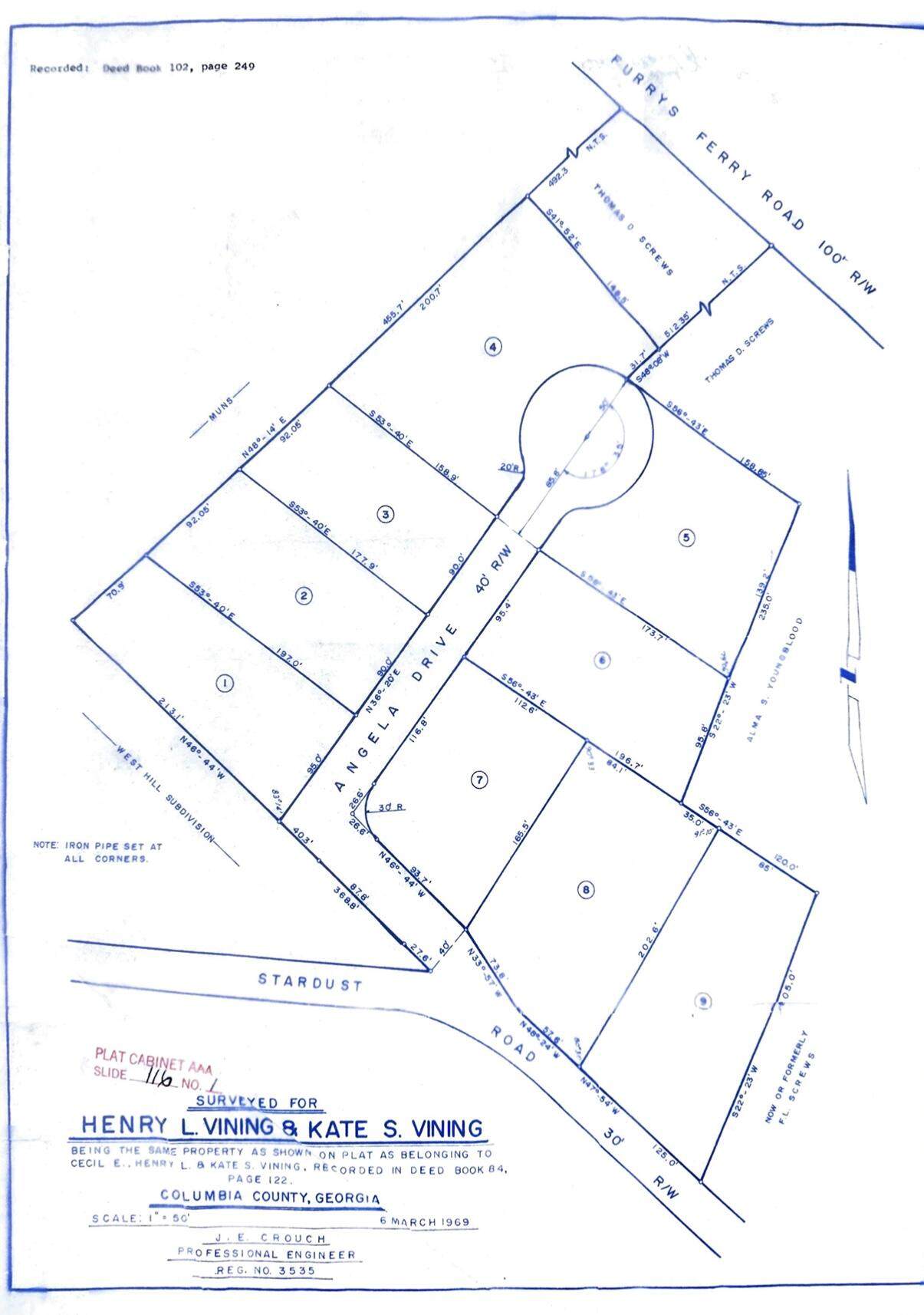
Investor Special in Columbia County! This is for 2 parcels, 204 and 205 Angela Drive. Approx 3 acres of undeveloped land in the heart of Martinez between Furys Ferry and Baston Rd! The plat on file with Columbia County has 6 lots and a cul de sac road on file, and is ready to apply for development (see pics for plat). Sewer and water on property at Stardust and Angela, see photo. This is an amazing opportunity for a developer, investors, or someone looking to build their home, in town, on acreage with no HOA!! Zoned R-3 (7500 sqft lots). Being sold as-is. Enter the property from Angela Dr. off of Stardust only. As a courtesy please schedule walk through in Showingtime.
-
0BEDS
-
1.21ACRES
-
0BATHS
-
01/2 BATHS
School Information
Description
Investor Special in Columbia County! This is for 2 parcels, 204 and 205 Angela Drive. Approx 3 acres of undeveloped land in the heart of Martinez between Furys Ferry and Baston Rd! The plat on file with Columbia County has 6 lots and a cul de sac road on file, and is ready to apply for development (see pics for plat). Sewer and water on property at Stardust and Angela, see photo. This is an amazing opportunity for a developer, investors, or someone looking to build their home, in town, on acreage with no HOA!! Zoned R-3 (7500 sqft lots). Being sold as-is. Enter the property from Angela Dr. off of Stardust only. As a courtesy please schedule walk through in Showingtime.
Related Properties
The data relating to real estate on this web site comes in part from the Internet Data Exchange program of Hive MLS LLC, and is updated as of 2026-03-13T23:55:43.937. All information is deemed reliable but not guaranteed and should be independently verified. All properties are subject to prior sale, change, or withdrawal. Neither listing broker(s) nor The Bradley Sikes Group | Meybohm Real Estate shall be responsible for any typographical errors, misinformation, or misprints, and shall be held totally harmless from any damages arising from reliance upon these data. © 2026 Hive MLS LLC