Description
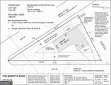
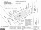
For builders: two adjacent lots to build and sell two homes in the desirable Hills Park neighborhood. For the family who wants to build their custom home, Here's your chance to build from scratch in the desirable Hills Park neighborhood! Claim these two adjacent lots (17-223-0004-012-6 & 17-223-0004-011-8) as your own and build an incredible dream home OR TWO. Take advantage of potential downtown views with a rooftop terrace. Easy access to Marietta Boulevard and nearby attractions via Carroll Drive, as well as the action along Chattahoochee Avenue, including dining and socializing at The Works. Right around the corner is Top Golf, shopping at Westside Market, and the ultimate in dining at Michelin-starred Bacchanalia. West Midtown and Atlantic Station are within easy reach, as are Midtown proper and Buckhead. Atlanta's largest greenspace, Shirley Park (aka Shirley Clarke Franklin Park) is just over a mile down Marietta ROAD. 1720 Annie - Lot Information: Zoning: R4-A Single Family, Area: 4,316 SF / .099 acre, Buildable area: approximately 1,966 SF, Maximum lot coverage: 2,373 SF, Maximum allowable floor area: 2,805 SF, Front yard setback: Approximately 15' (average depth front yard setback rule), Rear yard setback: 15', Side yard setback: 7'. See site plan and survey. 1709 Marietta - Lot Information: Zoning: R4-A Single Family, Area: 7,441 SF / .170 acre, Buildable area: approximately 2,800 SF, Maximum lot coverage: 4,092 SF, Maximum allowable floor area: 3,750 SF, Front yard setback: Approximately 15' (average depth front yard setback rule), Rear yard setback: 15', Side yard setback: 7'. See site plan and survey.
-
0BEDS
-
0.27ACRES
-
0BATHS
-
01/2 BATHS
School Information
Description
For builders: two adjacent lots to build and sell two homes in the desirable Hills Park neighborhood. For the family who wants to build their custom home, Here's your chance to build from scratch in the desirable Hills Park neighborhood! Claim these two adjacent lots (17-223-0004-012-6 & 17-223-0004-011-8) as your own and build an incredible dream home OR TWO. Take advantage of potential downtown views with a rooftop terrace. Easy access to Marietta Boulevard and nearby attractions via Carroll Drive, as well as the action along Chattahoochee Avenue, including dining and socializing at The Works. Right around the corner is Top Golf, shopping at Westside Market, and the ultimate in dining at Michelin-starred Bacchanalia. West Midtown and Atlantic Station are within easy reach, as are Midtown proper and Buckhead. Atlanta's largest greenspace, Shirley Park (aka Shirley Clarke Franklin Park) is just over a mile down Marietta ROAD. 1720 Annie - Lot Information: Zoning: R4-A Single Family, Area: 4,316 SF / .099 acre, Buildable area: approximately 1,966 SF, Maximum lot coverage: 2,373 SF, Maximum allowable floor area: 2,805 SF, Front yard setback: Approximately 15' (average depth front yard setback rule), Rear yard setback: 15', Side yard setback: 7'. See site plan and survey. 1709 Marietta - Lot Information: Zoning: R4-A Single Family, Area: 7,441 SF / .170 acre, Buildable area: approximately 2,800 SF, Maximum lot coverage: 4,092 SF, Maximum allowable floor area: 3,750 SF, Front yard setback: Approximately 15' (average depth front yard setback rule), Rear yard setback: 15', Side yard setback: 7'. See site plan and survey.
© 2026 Georgia Multiple Listing Service, Inc. All rights reserved. The data relating to real estate for sale or lease on this web site comes in part from GAMLS. Real estate listings held by brokerage firms other than The Bradley Sikes Group | Meybohm Real Estate are marked with the GAMLS logo or an abbreviated logo and detailed information about them includes the name of the listing broker. IDX information is provided exclusively for consumers' personal, non-commercial use and may not be used for any purpose other than to identify prospective properties consumers may be interested in purchasing. Information is deemed reliable but is not guaranteed accurate by GAMLS or The Bradley Sikes Group | Meybohm Real Estate. Data last updated: 2026-02-17T15:15:01.66.