Description
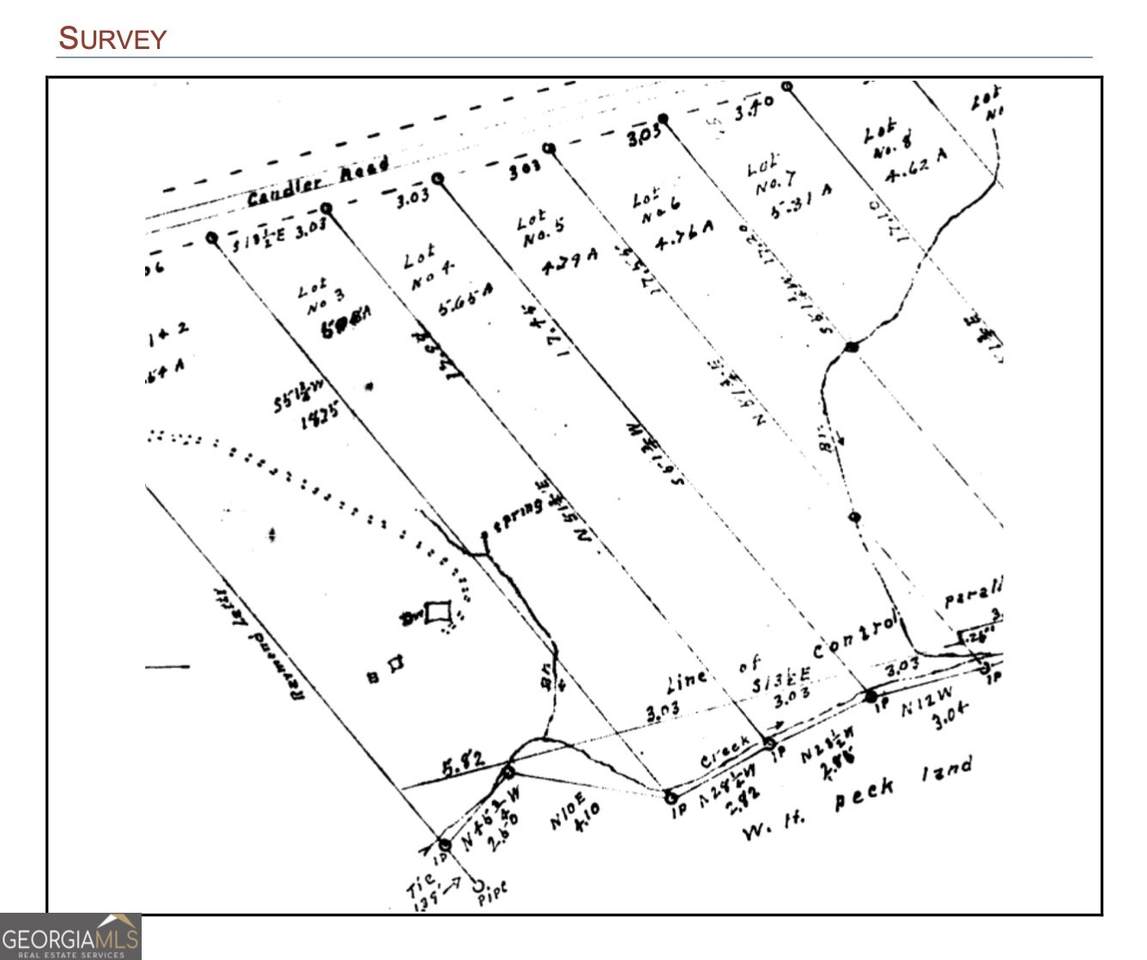
Assemblage of TWO(2) adjoining lots for sale, totaling 10.5 acres +/-.......1546 Candler Rd (5.65 ac), and 1558 Candler Rd (4.87 ac), Gainesville GA. Phenomenal opportunity to purchase both parcels that can be rezoned Industrial, from current AR-1. NO subdividing will be considered. Perfect for auto repair, storage buildings, warehouse, fabrication or other industrial usage, that will match the growing Candler corridor. Current 1766 SF residence built in 1961 improves one lot. Two(2) existing trailers can be used as is, or removed. This won't last long!
-
0BEDS
-
5.65ACRES
-
0BATHS
-
01/2 BATHS
School Information
Description
Assemblage of TWO(2) adjoining lots for sale, totaling 10.5 acres +/-.......1546 Candler Rd (5.65 ac), and 1558 Candler Rd (4.87 ac), Gainesville GA. Phenomenal opportunity to purchase both parcels that can be rezoned Industrial, from current AR-1. NO subdividing will be considered. Perfect for auto repair, storage buildings, warehouse, fabrication or other industrial usage, that will match the growing Candler corridor. Current 1766 SF residence built in 1961 improves one lot. Two(2) existing trailers can be used as is, or removed. This won't last long!
© 2026 Georgia Multiple Listing Service, Inc. All rights reserved. The data relating to real estate for sale or lease on this web site comes in part from GAMLS. Real estate listings held by brokerage firms other than The Bradley Sikes Group | Meybohm Real Estate are marked with the GAMLS logo or an abbreviated logo and detailed information about them includes the name of the listing broker. IDX information is provided exclusively for consumers' personal, non-commercial use and may not be used for any purpose other than to identify prospective properties consumers may be interested in purchasing. Information is deemed reliable but is not guaranteed accurate by GAMLS or The Bradley Sikes Group | Meybohm Real Estate. Data last updated: 2026-02-16T07:11:11.69.